New Development
Hearing Scheduled For Mandolin Ridge Project
- Mayshark Builders is listed as a developer for the planned Mandolin Ridge residential subdivision in the town of Chautauqua. A hearing will he held Monday, March 9, at 7:15 p.m. during a Chautauqua Town Board meeting to discuss the development. P-J photo by Jay Young
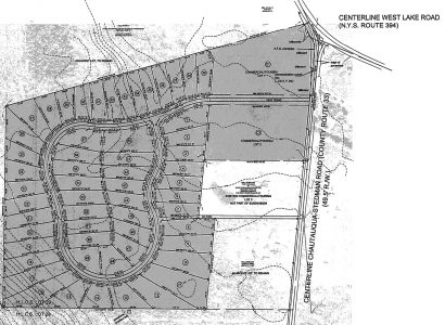
- A map detailing the proposed location for Mandolin Ridge in the town of Chautauqua. Submitted photo

Mayshark Builders is listed as a developer for the planned Mandolin Ridge residential subdivision in the town of Chautauqua. A hearing will he held Monday, March 9, at 7:15 p.m. during a Chautauqua Town Board meeting to discuss the development. P-J photo by Jay Young
Those looking to purchase a new home close to Chautauqua Lake may have some new options coming down the pike.
A public hearing will be held during a Chautauqua Town Board meeting Monday, March 9, at 7:15 p.m. to discuss an application submitted for a residential development in the town of Chautauqua.
Owner H&H Chautauqua Development LLC has proposed a 54-lot realty subdivision, to be located near the intersection of Chautauqua-Stedman Road and Route 394.
EcoStrategies Engineering and Surveying of Falconer has authored a engineering report for the development, which is available to the public at the town office in Mayville.
The report cites Mayshark Builders Inc. of Mayville as a developer and Leaf + Stone as a landscape architect.

A map detailing the proposed location for Mandolin Ridge in the town of Chautauqua. Submitted photo
Dated Jan. 3, 2020, the document includes a comprehensive analysis of the project, including expected timelines, environmental impacts, utility easements, soil and groundwater analysis, stormwater management, sewer service and legal approval requirements.
“The project goal is to utilize the property to create a new residential subdivision with one existing commercial lot and two new commercial lots,” the report states. “The intent is to create a development that provides the greatest opportunity for residents and visitors to live a healthy lifestyle by enjoying local stores, restaurants, entertainment, and natural resources such as Chautauqua Lake.”
The project would entail building a new town road with utility easements off of Chautauqua-Stedman Road to create a continuous loop through the subdivision.
A total of 57 lots, with three used for stormwater management and conservation easements, would be built with 54 half-acre home lots sold over the life of the development.
The proposed utility plan would allow for each home to have public water, sewer, gas and electrical service.
In addition to the residential plans, the report also outlines two 5-acre lots for future commercial use on the east side of the property.
“Although the future development of these two lots is currently unknown, a hypothetical hotel and restaurant will be used for design purposes since they are conservative examples for estimating water consumption, sewage flowrates and other development variables,” the report states.
These commercial lots would be located north of an existing lot, the site of the former Mazza Winery and White Carrot Restaurant. That facility is not currently in use.
Plans indicate that a federally regulated wetland in the center of the property, a historical farm pond, will be preserved as a 1-acre lot via “permanent conservation and stormwater management easement to protect and enhance this wetland pond.”
Construction is expected to take place in multiple stages, with an anticipated commencement of May, 2020, for phase one and an anticipated completion date of final phases in December 2030.
“We’ve been working with (the developers) since probably September of last year,” town supervisor Don Emhart said. “We have done the site plan review and all of the necessary steps. I think it is a good project, they have thought it through very well and I hope it flies.”
Emhart was optimistic about the development increasing local tax revenues and bringing new residents to the area, and noted that the hearing will give members of the public an opportunity to learn more about the project and voice their opinions.
“Well it will definitely increase our assessed value as they sell,” Emhart said. “The (new) road will eventually be taken over by the town so we will have a little extra plowing and things to do but not that much. Being in the area of Chautauqua Institution, they are the ones doing all the building, so we hope it takes off and will be successful.”
UTILITIES AND INFRASTRUCTURE
According to the report the Chautauqua Utility District is expected to have a more than adequate water supply for the estimated 45,000 gallons-per-day demand of the project. The North Chautauqua Lake Sewer District is likewise expected to be able to handle the increased demand, although the report notes that the development owner would need to make upgrades to the Irwin Bay Pump Station to accommodate more wastewater.
“The owner agreed to provide the design and upgrades to the pumps at the Irwin Bay Pump Station as part of the new development at no cost to the NCLSD,” states the report.
Plans for electrical infrastructure have been submitted to National Grid and are currently under review, and the same has been done for National Fuel Gas.
Stormwater management areas are marked on the site plans in addition to conservation areas, which would conform to New York State Department of Environmental Conservation stormwater requirements.
Green infrastructure features will include the preservation of riparian buffers (vegetated areas by streams), no roadside curbs or culverts, disconnection of rooftop runoff, sheetflow to grass filter strips, vegetated swales, preservation of existing trees and brush, planting of new trees, pocket wetlands and bio-retention areas.
These features are intended to “release stormwater runoff at the pre-developed rate and will not negatively impact downstream waterbodies.”
LEGAL REQUIREMENTS
Parties with jurisdiction or interests in the area would include, but are not limited to, the town, Chautauqua Utility District, North Chautauqua Lake Sewer District, NYSDEC, New York State Department of Health and the Chautauqua County Health Department, United States Army Corps of Engineers (jurisdiction over the historical farm pond listed as a federal wetland), New York State Historic Preservation Office (jurisdiction over a portion of the property mapped within an archaeological zone), New York State Department of Transportation, Chautauqua County Department of Public Facilities, Chautauqua County Planning and Economic Development as well as National Grid & National Fuel Gas Companies.
The health department has been in contact with the town on the proposal, as evidenced by a letter from Paul Snyder P. E., dated Feb. 13, 2020.
The subdivision must conform to New York Codes, Rules and Regulations Title 10, Part 74, according to the letter.
“Realty Subdivision must be approved by the Chautauqua County Department of Health (CCDOH) and be filed with the Chautauqua County Clerk,” Snyder said. “For this particular project, the CCDOH will be responsible for approving the public water facilities that will serve the realty subdivision, and the NYSDEC will be responsible for approving the public sewerage facilities.”
The report cites necessary governmental approvals that include town board approval, planning board approval, a town special use permit, water and sewer approvals, a county highway work permit and Chautauqua County Department of Planning and Economic Development plan approval.






